Thursday,
16 October 2025
Land approved for more Sth Wang housing

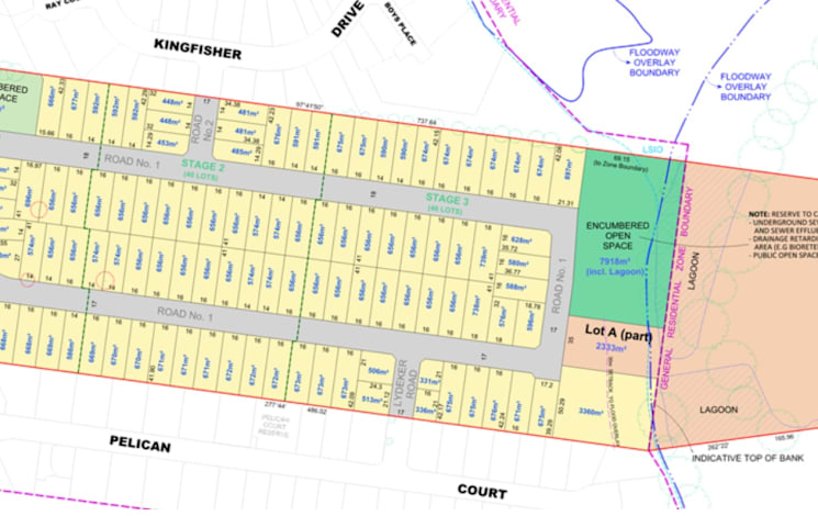
South Wangaratta is set to have more access to new housing off Murdoch Road after Wangaratta councillors this week granted a decision in favour of a proposed 127-lot subdivision.

The subdivision will be carried out in three stages across 16.6 hectares at 197 Murdoch Road, located between the existing residential areas of Kingfisher Drive and Pelican Court.

Most of the subject land is located within ...

There's more to this story... Subscribe to Wangaratta Chronicle.