PHOTO
South Wangaratta is set to have more access to new housing off Murdoch Road after Wangaratta councillors this week granted a decision in favour of a proposed 127-lot subdivision.
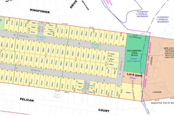
The subdivision will be carried out in three stages across 16.6 hectares at 197 Murdoch Road, located between the existing residential areas of Kingfisher Drive and Pelican Court.
Most of the subject land is located within General Residential Zone, with the rear portion in a Farming Zone.
Lot sizes will range from 349 square metres to 900+sqm, with the largest portion including 69 lots between 650-699sqm.
Eight objections were received about traffic, position of the proposed open space, sewer capacity, orientation of lots and their sizes, access roads to the new housing, detriment to neighbourhood character, drainage, and flood risk.
Council met with the objectors to work through concerns, particularly about the provision of open space, and connectivity/access.
The permit was granted based on two open space areas, with one unencumbered area along the northern boundary linking with Albert Court Reserve, 2818sqm in size.
The other will be encumbered and supports a drainage reserve located adjacent to the existing lagoon, covering 7918sqm of land.
No councillors contested the subdivision and Cr Harvey Benton, who moved the motion to grant the permit, said it was the joining of existing subdivisions and it’s just a transition towards progress.
Cr Harry Bussell viewed the subdivision as a positive move as Wangaratta is a growing city.
Mayor Irene Grant said it’s an infill development and council has spoken to objectors about the application and councillors did voice feedback about open space and connectivity.
“We trust that these have been addressed in terms of what the multi-stage subdivision will look like into the future,” she said.
The subdivision comes after a nearby 230-lot subdivision was approved on the corner of Wangaratta-Whitfield Road (extension of Murdoch Road) and Clarkes Lane.
Both of these developments will provide 357 lots for new dwellings in Wangaratta which will help address the chronic shortage of housing locally.





