PHOTO
Permission to grant a permit for a 127-lot subdivision off Wangaratta's Murdoch Road was recommended to councillors at Tuesday afternoon's August meeting.
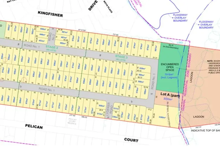
It was proposed the subdivision be carried out in three stages across 16.6 hectares at 197 Murdoch Road, between existing residential neighbourhood areas of Kingfisher Drive and Pelican Court.
Most of the subject land is located within General Residential Zone, with the rear portion in a Farming Zone.
Applicants sought approval of lot sizes ranging from 349 square metres to 900+sqm, with the largest portion including 69 lots between 650-699sqm.
Two open space areas are proposed under the plans, with one unencumbered area along the northern boundary linking with Albert Court Reserve, 2818sqm in size.
The other would be encumbered and supports the proposed drainage reserve located adjacent to the existing lagoon, covering 7918sqm of land.
Eight objections were received about traffic, position of the proposed open space, stress on health care system, sewer capacity, loss of native vegetation, orientation of lots and their sizes, access roads to the new housing, detriment to neighbourhood character, drainage, and flood risk.
Concerns about increased traffic were referred to the Department of Transport and Planning, however, they didn't raise any concerns specific to Murdoch Road.
Extra traffic along Pelican Court wasn't viewed as an issue by council as this road also connects back to Murdoch Road and this would be the preferred access point.
As to sewer capacity concerns, North East Water did not object to the issue and no specific concerns were flagged around capacity.
In terms of vegetation, the applicant is proposing to offset the loss of native vegetation via their party offsets.
Another objector believes the subdivision is not consistent with the quiet residential character of the area.
However, council officers view the proposal as just an extension of the existing residential neighbourhoods.
By the way of flood risk associated with the King River, council reported that the application has sought to locate nearly all of the residential lots outside of the parts of the site affected by the Land Subject to Inundation Overlay (LSIO) and Flood Overlay (FO).
North East Catchment Management Authority also did not object to the issue of the permit.





